Property Detail

61 Hopland

Adelanto CA 92394

span widget
$215,000

Status: Active

Property Details

Description

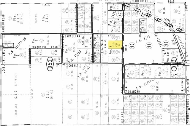
Take a look at these 4.67 acre parcel of flat land, (APN 0455-052-61-0000), located in a prime location projected for growth, currently zoned Light Manufacturing (LM) in Adelanto, CA, utilities Adjacent to Site: electricity, property could have sewage connection about 300ft east from property at the corner of Hopland St and Brucite Rd, Water hydrant is about 600 ft west from property at the corner of Holand St and Cobalt Rd (buyer and buyer’s agent to verify utilities for availability connections) 329 feet frontage and paved road x 618 feet deep rectangular lot, located just 1.65mi. East from US-395 Hwy, about 3+/-miles south of the Southern California Logistics Airport (SCLA) close proximity to Northwest Pipe Company, one of the largest manufacturing companies in North America. Bring your offer today.

Map Location

Listing Agent Jaime Arteaga of MGR REAL ESTATE, INC.. Last updated 2026-04-20 08:22:02.000000. Listing information © 2026 CRMLS.

  • Log in
  • ×