Property Detail

102 Olinda

Brea CA 92823

span widget
$2,575,000

Status: Active

Property Details

Description

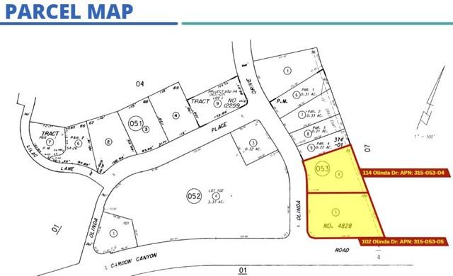
Versatile Commercial Property. An exceptional opportunity to acquire a multi-use commercial property built in 2001 and featuring 5,000 sq. ft. on a large 32,407 sq. ft. lot. This investment offers generous on-site parking for 20+ vehicles, is gated with ample space for future expansion or redevelopment. This property’s layout, location, and zoning make it a rare find for organizations or businesses with room to grow. In addition, the adjacent parcel at 114 Olinda Dr., is also available For Sale and features 2 buildings consisting of 3,795 sq. ft. on a 26,591 sq. ft. lot with plenty of parking and gated for security. This property can be sold individually of collectively with 114 Olinda Dr. Zoned Neighborhood Commercial (NC), this property provides flexibility for a wide range of potential uses. Ideal for an owner-user, religious facility, school, daycare, community center, or other institutional or service-oriented operations. Excellent visibility inside Carbon Canyon with a high traffic count and close proximity to the 57 freeway and Chino Hills corridor.

Map Location

Listing Agent Eric Eide of RE/MAX MASTERS REALTY. Last updated 2025-11-22 10:01:53.000000. Listing information © 2025 CRMLS.

  • Log in
  • ×