Property Detail

E Ave G

Lancaster CA 93535

span widget
$79,999

Status: Active

Property Details

Description

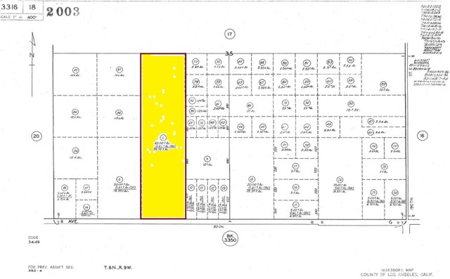
APN: 3316-018-005 Coordinates: 34.735194, -117.804306 39.68 Acres for sale in LA County. This lot is located in Lancaster, CA near the intersection of E Ave G and 180th St E. Large parcel zoned LCA11 agricultural use, per county records. Excellent for agricultural use in a rural area. Electric poles are on the street for future hook up.

Map Location

Listing Agent NYDIA DEL RIO of HOME & LAND SOURCE. Last updated 2025-11-21 09:21:29.000000. Listing information © 2025 CRMLS.

  • Log in
  • ×