Property Detail

E Avenue I

Lancaster CA 93535

span widget
$49,999

Status: Active

Property Details

Description

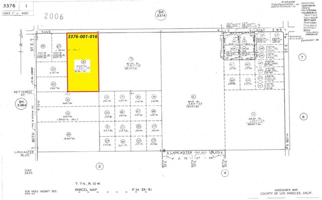
APN: 3376-001-016 Coordinates: 34.704667, -117.984000 19.87 Acres for sale in LA County. This lot is located near the intersection of E Ave I and 80th St E in Lancaster, CA. Property has frontage onto a paved street with electric poles for future power hook up. Excellent location in a rural area and zoned LCA11, per county record, for agricultural use.

Map Location

Listing Agent NYDIA DEL RIO of HOME & LAND SOURCE. Last updated 2025-11-21 09:21:29.000000. Listing information © 2025 CRMLS.

  • Log in
  • ×