Property Detail

Ave G8

Lancaster CA 93535

span widget
$22,000

Status: Active

Property Details

Description

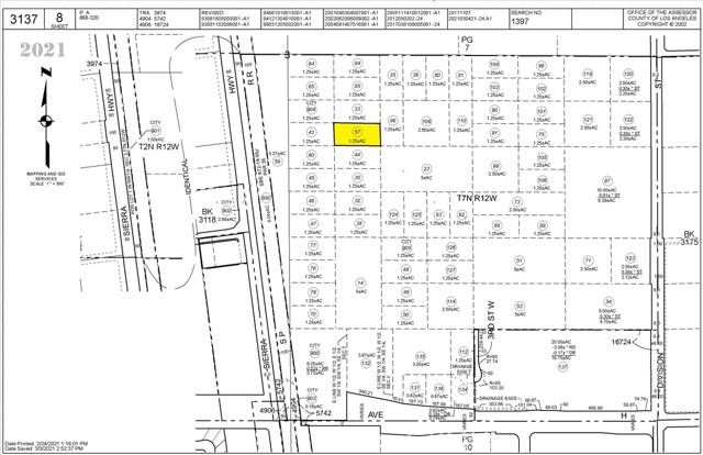
Seize the opportunity to own a substantial 1.27-acre parcel of land on Ave G8 in the expansive and scenic city of Lancaster, California. Marked by APN: 3137-008-057 and resting within the desirable 93535 zip code, this vacant lot, situated at coordinates Lat 34.72427, Long -118.13795, presents a blank slate for a variety of possibilities. As an entirely undeveloped property, it offers a rare chance for buyers to shape their vision in alignment with Los Angeles County's diverse and dynamic landscape. The unknown zoning of this lot encourages prospective buyers to envision a broad spectrum of uses, subject to county guidelines. This property not only promises vast open space but also places you within the embrace of Lancaster's natural beauty and its burgeoning development potential. Buyers are encouraged to conduct comprehensive research to explore the full potential of this unique land offering. ****No soils reports, surveys, etc., have been done. Buyer and buyer's agent to verify all information with the city or county for allowable uses and requirements and rely on their own investigations. **Buyer responsible for checking zoning, utilities, permits and exact property boundaries. ****

Map Location

Listing Agent Steve Welty of Steve Welty & Associates Inc. Last updated 2025-11-20 09:21:39.000000. Listing information © 2025 CRMLS.

  • Log in
  • ×